| オオチドメ(大血止) 別名:ヤマチドメ 学名:Hydrocotyle ramiflora | 戻る | ||
| 分類:ウコギ科・チドメグサ属、多年草 | |||
| 分布:北海道〜九州 | 生育地:土手、道ばた | ||
| 高さ:5〜20p | 花期:6〜9月 | 花色:薄黄緑〜白 | |
山野に普通に生える多年草、半日陰の場所に生育します。私の畑では、木陰の土手や農道脇で見られます。 茎は分枝して地表面を這い、茎の節から発根し広がり、地面を覆うようになります。 葉柄の長さは2〜7p、葉は直径15〜30oの掌状円形で、縁には浅い切れ込みがあります。葉の基部は心形に深く裂けています。 葉腋から花柄を伸ばし、4〜6oの球形花序をつけます。花は直径2〜3oほどの薄黄緑の5弁花で、15〜30個集まっています。 類似のチドメグサは、葉が小さく、球形花序が葉の上に飛び出さないので識別できます。 名前は、チドメグサより大きいのでオオチドメ。チドメの由来は、葉をすりつぶした汁を傷口に塗れば血が止まることから。 子供の頃、切り傷の血がにじんだところに、チドメの葉を張り付けた思い出があります。その効果はどうだったかなぁ。 |
||
![]() 土手に生えるオオチドメ、茎から根を出し広がります。 |
![]() 葉は掌状に浅く裂け、基部は心形に裂けています。 直径は大きいもので幅3cmほど。 |
![]() 花は、葉より高い位置に球状に多数つきます。 |
![]() 花が終わって、5oほどの集合果が金平糖のように残ります。 |
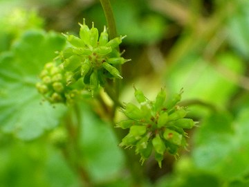
![]() 花とつぼみが見えます。1つの花の直径は約2〜3mm、全体では直径7oほど、形状はコロナウイルスのようです。 |
|